我院再生医学团队揭示蛋白核心岩藻糖基化调控涡虫再生机制
发布时间:2021-07-21      作者:    点击:[]    分享到:
蛋白质糖基化是一种常见的蛋白翻译后修饰,是在糖基转移酶作用下将糖链连接在蛋白质上的酶促过程,参与调控多种细胞生物学过程,如细胞识别、细胞分化、细胞增殖和细胞迁移。其中,核心岩藻糖基化是在α1,6-岩藻糖转移酶(FUT8)催化作用下,岩藻糖以α1,6键的形式与N-聚糖最内侧的N-乙酰葡萄糖胺(GluNAc)连接的一种修饰。越来越多的证据表明核心岩藻糖修饰在肿瘤发生、免疫系统调节、干细胞维持等过程中扮演重要角色。然而,核心岩藻糖修饰在组织再生中的生物学作用仍不明确。

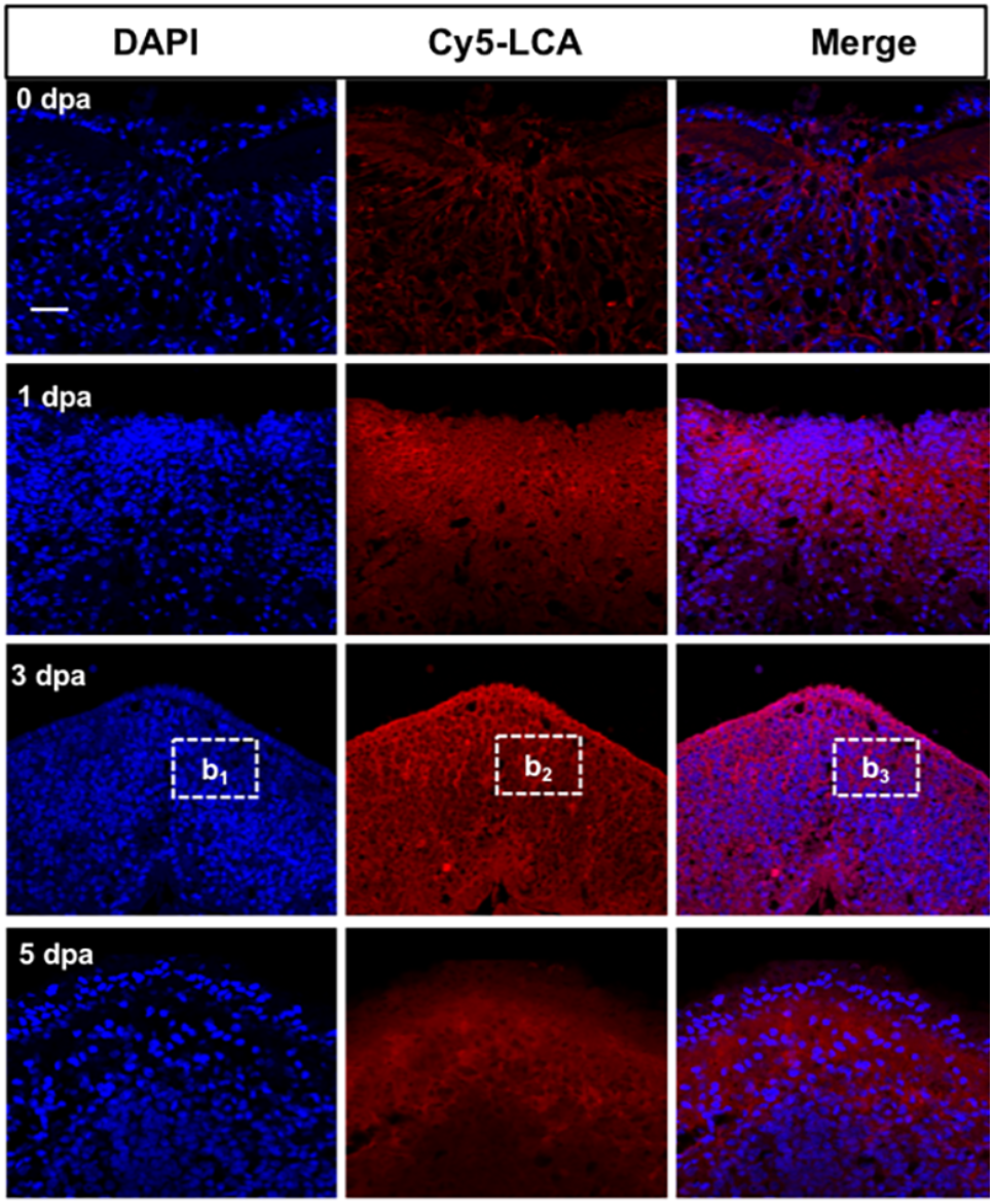
西北大学再生医学团队以组织再生重要模式动物东亚三角涡虫(Dugesia japonica)为对象,系统观察核心岩藻糖修饰对涡虫再生的影响。研究首先使用凝集素芯片系统地分析了东亚三角涡虫(Dugesia japonica)头部再生过程中的蛋白糖基化修饰变化,发现LCA凝集素识别的核心岩藻糖基化水平在涡虫头部再生过程中显著上调。

进一步通过LCA凝集素磁性微粒捕获得到的岩藻糖结合蛋白中可鉴定到多种涡虫干细胞标志物,添加岩藻糖基化抑制剂2F-peracetyl-fucose能显著抑制涡虫干细胞增殖并延缓其头部再生,为蛋白质核心岩藻糖基化参与涡虫再生提供了直接证据。

重要的是,研究发现外源性L-岩藻糖可刺激涡虫FUT8基因表达并高效加速涡虫头部再生,切割后第3天即可观察到涡虫眼点再生,而非处理组涡虫完成眼点再生则需要5天,提示外源性岩藻糖对促进伤口愈合、组织再生具有积极作用,可以作为有效成分用于组织损伤修复的治疗。

原文链接:https://doi.org/10.3389/fcell.2021.625823


